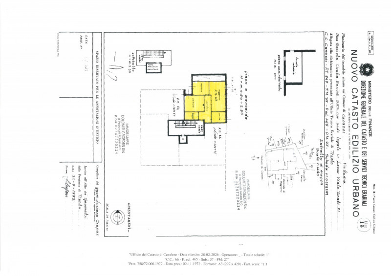
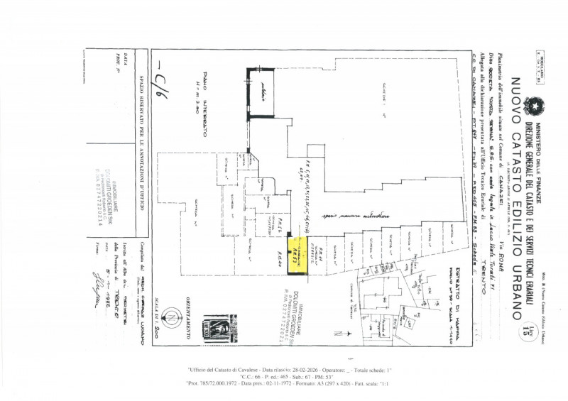
Descrizione
Scopri questo splendido appartamento quadrilocale situato nel centro di Canazei, una delle località più affascinanti delle Dolomiti. Con una superficie generosa di 83 mq, questa proprietà è perfetta per famiglie o gruppi che desiderano godere della bellezza naturale e dell’atmosfera vibrante del luogo.
L’appartamento si distingue per la sua luminosità e gli spazi ben distribuiti. Composto da un ampio soggiorno, cucina, due ampie camere da letto accoglienti e un bagno con doccia, offre tutto il comfort necessario per vivere al meglio le tue vacanze o come residenza permanente. Gli interni sono curati nei minimi dettagli, con finiture eleganti che riflettono lo stile montano tradizionale.
La posizione centrale consente un accesso facile ai servizi locali: ristoranti tipici, negozi caratteristici e impianti sciistici distano solo pochi passi dall’abitazione. Inoltre, i sentieri escursionistici nelle vicinanze offrono infinite opportunità per esplorare la natura circostante durante l’estate.
Non perdere l’occasione di possedere un pezzo di paradiso in questa rinomata località turistica! Contatta subito la nostra agenzia per maggiori informazioni o per prenotare una visita all’immobile. — annuncio pubblicato con GESTIONALEIMMOBILIARE.it
















































